土地

津市南中央

接道6m以上

・阿漕駅まで徒歩11分!
・建築条件なし!
・更地

・セブンイレブン津市幸町店まで徒歩11分(約727m)
・B-MART橋南店まで徒歩6分(約470m)
・ココカラファイン 垂水店まで徒歩10分(約650m)
・倉本内科病院まで徒歩2分(約150m)
・津橋南郵便局まで徒歩4分(約260m)

物件概要

所在地 津市南中央 価格 450万円
交通

紀勢線 阿漕駅 まで 徒歩11分

名古屋線 津新町駅 まで 徒歩25分

名古屋線 南が丘駅 まで 徒歩28分

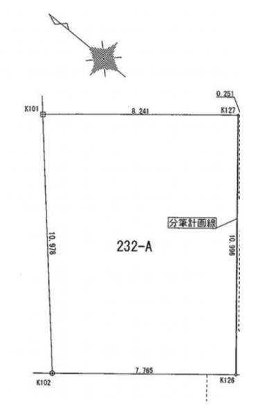
土地面積 公簿 87.88㎡(26.58坪)
小学校区 修成 (1100m ) 中学校区 橋南 (350m )
セットバック 無し 私道負担
土地権利 建築条件
地目 宅地 都市計画 市街化区域
用途地域 近隣商業 用途地域2
建ぺい率 80% 容積率 200%
上水道 下水道
ガス 現況 更地
取引態様 仲介 明渡 相談
設備・条件
備考 ※準防火地域、景観法、都市再開発法

【更新年月日】2026年02月03日
【次回更新予定日】2026年06月03日

不動産用語集

弊社では、売主様に配慮し、物件所在地を掲載していない物件がございます。
詳細については、お気軽にお問合せください。

(物件番号: 1000243)

周辺地図を確認する

LOGIN 会員ログイン

メールアドレス
パスワード

パスワードを忘れた方はこちら

SEARCH 物件検索

種別を選択

エリアを選択

価格を選択



こだわり検索

津市の不動産売買情報

HPを見たと言って、お気軽にお問い合わせください
  • 本店0120-025-445

営業時間 : 9:00~18:00

HARMONY不動産
〒514-0815 三重県津市藤方1036番1

定休日 : 水曜日・木曜日